Auch bekannt als: Gemeiner Faulbaum; Pulverholz
Diese Pflanze ist auch erhältlich als:
Andere Spezifikationen
Herkunft
| Botanischer Name | Frangula alnus Gartenpflanzen |
|---|---|
| Deutscher Name | Gemeiner Faulbaum; Pulverholz |
| Kulturgruppe | Sträucher |
| Familie | Rhamnaceae, Wegedoornfamilie |
| Herkunft | West-Asien; Osteuropa |
| Zusätzliche Informationen | Wikipedia |
Form / Größe
| Natürliche Form | Aufsteigend, Rund |
|---|---|
| Erwachsene Höhe | 3 m-5 m m |
| Erwachsene Breite | 2-4 m |
Eigenschaften der Pflanze
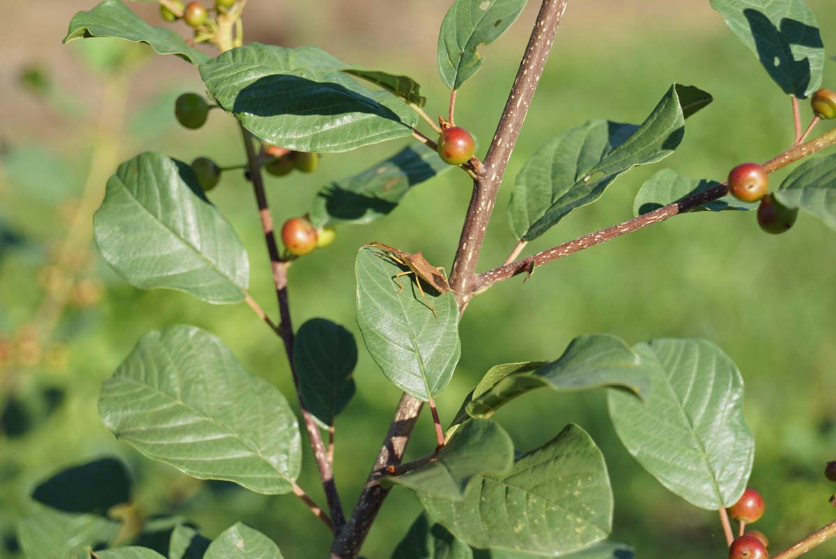
| Blattfarbe | Grün |
|---|---|
| Immergrün | Laubabwerfend |
| Herbstfärbung | Gelb |
| Blütenfarbe | Weiß |
| Wachstumsrate | Durchschnittliche Wachstumsrate |
| Blütezeit | April, Mai, Juni, Juli |
| Fruchtfarbe | Rot, Schwarz |
| Biodiversität | Bienen und/oder Hummelnnährpflanze, Unterschlupf und Nistplatz, Nährpflanz für Vögel, Wirtspflanze für Insekten |
Standort
|
Widerstandsfähigkeit
Mehr über >widerstandsfähigkeit
|
Sehr gute (Zone 3) |
|---|---|
| Lichtbedürfenis | Sonne, Halbschatten |
| Bodenart | Licht (Sandiger Boden), Mittel (Lehmiger Boden) |
Verhärtung
|
Verträgt keine Bepflasterung |



