Auch bekannt als: Gemeiner Faulbaum; Pulverholz
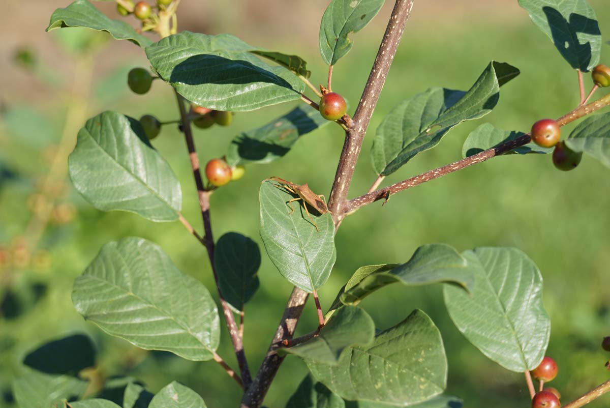
Frangula alnus , Gemeiner Faulbaum; Pulverholz ist ein Strauch und kann eine Höhe von etwa 5 Metern erreichen. Die Rinde ist schwarz und hat braune Poren. Die hellgrünen Blätter sind elliptisch und glattrandig. Von April bis Juli erscheinen grün-weiße Blüten an der Pflanze. Nach der Blüte entwickeln sich rote, beerenartige Steinfrüchte, die später schwarz werden.
Frangula alnus bevorzugt einen Standort in der Sonne oder im Halbschatten. Sie gedeiht am besten in feuchtem, humusreichem, gut durchlässigem, saurem Boden. Diese Pflanze verträgt eine Temperatur von -35 °C. Das Holz dieses Strauches enthält wenig anorganisches Material und liefert daher gute Holzkohle, die sich als Zeichenkohle eignet.
Die (pulverisierte) Holzkohle wurde häufig als Rohstoff für Schießpulver und zur Herstellung von Zündschnüren verwendet, da sie gleichmäßig und langsam brennt. Bis kurz nach dem Zweiten Weltkrieg wurde sie hauptsächlich zu diesem Zweck verwendet.
Einen Frangula alnus bei Den Mulder Boomteelt kaufen
Den Mulder Boomteelt in Grubbenvorst ist auf die Anzucht von Bäumen und Sträuchern spezialisiert und verfügt über mehr als 2.000 Arten aus der eigenen Baumschule. Bei Den Mulder Boomteelt kaufen Sie direkt beim Gärtner, der Sie auch direkt bei der Anzucht, Pflanzung und Pflege beraten kann. Sehen Sie alle Frangula-Arten in unserem Sortiment.
Diese Pflanze ist auch erhältlich als:
Andere Spezifikationen
Herkunft
| Botanischer Name | Frangula alnus auf Stamm |
|---|---|
| Deutscher Name | Gemeiner Faulbaum; Pulverholz |
| Kulturgruppe | Sträucher |
| Familie | Rhamnaceae, Wegedoornfamilie |
| Herkunft | West-Asien; Osteuropa |
| Zusätzliche Informationen | Wikipedia |
Form / Größe
| Natürliche Form | Aufsteigend, Rund |
|---|---|
| Erwachsene Höhe | 3 m-5 m m |
| Erwachsene Breite | 2-4 m |
Eigenschaften der Pflanze
| Blattfarbe | Grün |
|---|---|
| Immergrün | Laubabwerfend |
| Herbstfärbung | Gelb |
| Blütenfarbe | Weiß |
| Wachstumsrate | Durchschnittliche Wachstumsrate |
| Blütezeit | April, Mai, Juni, Juli |
| Fruchtfarbe | Rot, Schwarz |
| Biodiversität | Bienen und/oder Hummelnnährpflanze, Unterschlupf und Nistplatz, Nährpflanz für Vögel, Wirtspflanze für Insekten |
Standort
|
Widerstandsfähigkeit
Mehr über >widerstandsfähigkeit
|
Sehr gute (Zone 3) |
|---|---|
| Lichtbedürfenis | Sonne, Halbschatten |
| Bodenart | Licht (Sandiger Boden), Mittel (Lehmiger Boden) |
Verhärtung
|
Verträgt keine Bepflasterung |



