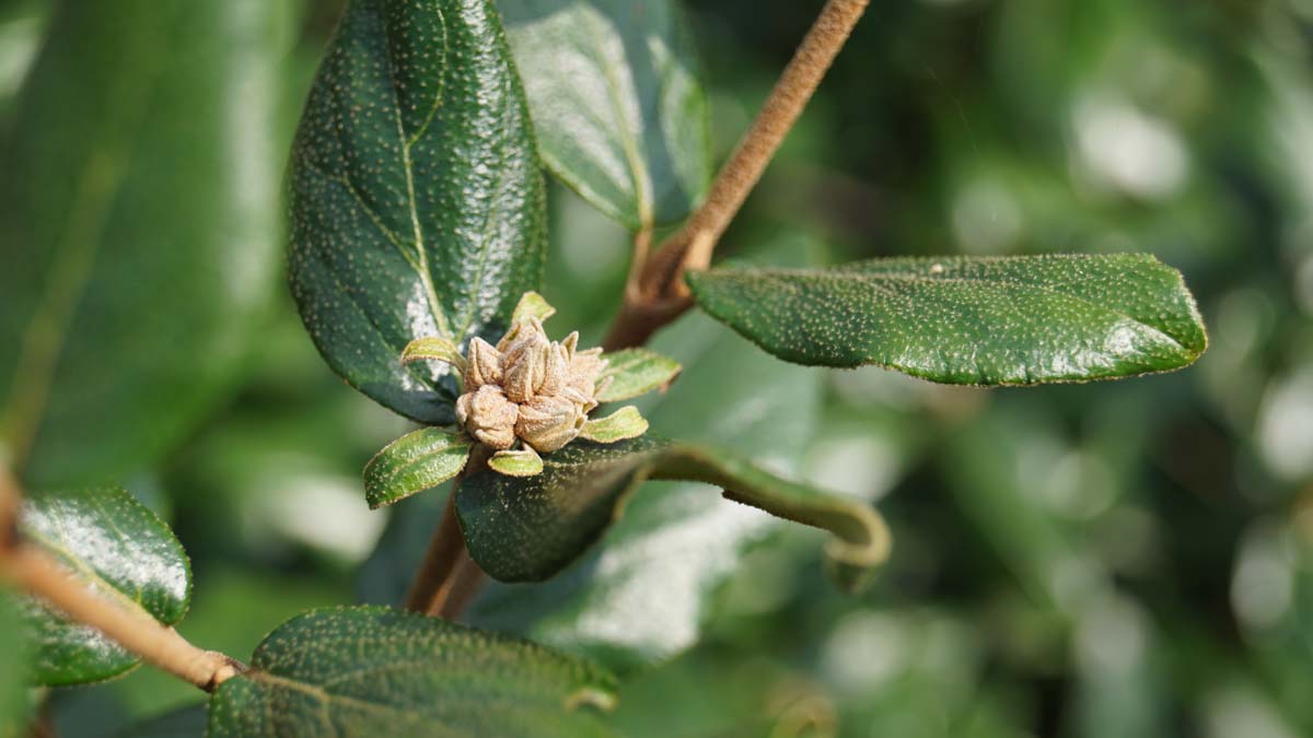
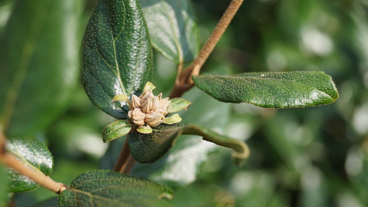
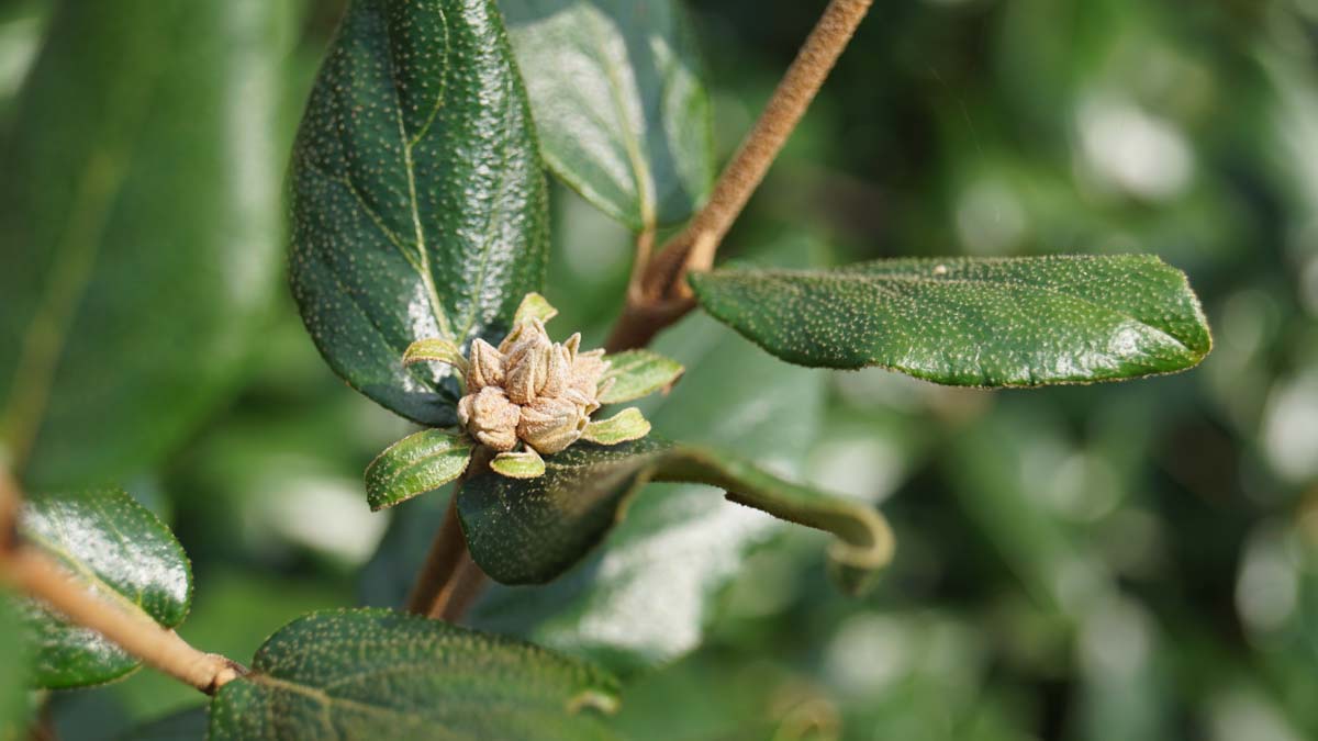
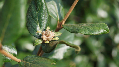
Auch bekannt als: Oster-Schneeball
Diese Pflanze ist auch erhältlich als:
Andere Spezifikationen
Herkunft
| Botanischer Name | Viburnum burkwoodii Gartenpflanzen |
|---|---|
| Deutscher Name | Oster-Schneeball |
| Kulturgruppe | Sträucher |
| Familie | Adoxaceae, Muskuskruidfamilie |
| Herkunft | Hybride |
| Zusätzliche Informationen | Trees and Shrubs Online |
Form / Größe
| Natürliche Form | Rund, Oval |
|---|---|
| Erwachsene Höhe | 2.5 m-3 m m |
Eigenschaften der Pflanze
| Blattfarbe | Grün |
|---|---|
| Immergrün | Laubabwerfend |
| Herbstfärbung | Orange, Gelb |
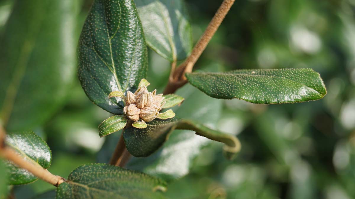
| Blütenfarbe | Weiß, Auffallende Blüten |
| Wachstumsrate | Durchschnittliche Wachstumsrate |
| Blütezeit | April, Mai |
| Fruchtfarbe | Rot, Schwarz |
| Biodiversität | Bienen und/oder Hummelnnährpflanze, Unterschlupf und Nistplatz, Nährpflanz für Vögel, Wirtspflanze für Insekten |
Standort
|
Widerstandsfähigkeit
Mehr über >widerstandsfähigkeit
|
Gut (Zone 6) |
|---|---|
| Lichtbedürfenis | Sonne, Halbschatten |
| Bodenart | Licht (Sandiger Boden), Mittel (Lehmiger Boden), Schwer (Kleiboden), Torf |
| Ph-Wert des Bodens | Kalkreiche Boden, Saure Boden |
Verhärtung
|
Verträgt keine Bepflasterung |
| Windbeständigkeit | Verträgt Wind mäßig |



