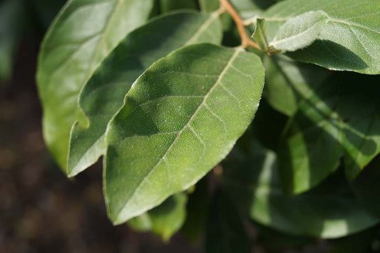
Elaeagnus pungens
Plantprofiel
Plantkenmerken
Herkomst
| Botanischer Name | Elaeagnus pungens |
|---|---|
| Kulturgruppe | Sträucher |
| Familie | Elaeagnaceae, Duindoornfamilie |
| Herkunft | Japan |
| Zusätzliche Informationen | Trees and Shrubs Online |
- Jan
- Feb
- Maa
- Apr
- Mei
- Jun
- Jul
- Aug
- Sep
- Okt
- Nov
- Dec
- Januari: Actief
- Januari: Actief
- Januari: Actief
- Januari: Niet-actief
- Januari: Niet-actief
- Januari: Niet-actief
- Januari: Niet-actief
- Januari: Niet-actief
- Januari: Niet-actief
- Januari: Niet-actief
- Januari: Actief
- Januari: Actief
- Januari: Niet-actief
- Januari: Niet-actief
- Januari: Actief
- Januari: Actief
- Januari: Niet-actief
- Januari: Niet-actief
- Januari: Niet-actief
- Januari: Actief
- Januari: Actief
- Januari: Niet-actief
- Januari: Niet-actief
- Januari: Niet-actief
Plantkenmerken
| Blattfarbe | Grün |
|---|---|
| Immergrün | Immergrün |
| Biodiversität | Bienen und/oder Hummelnnährpflanze, Unterschlupf und Nistplatz, Nährpflanz für Vögel |
Standplaats
| Widerstandsfähigkeit | Ziemlich gut (Zone 7) |
|---|---|
| Lichtbedürfenis | Sonne, Halbschatten |
| Bodenart | Licht (Sandiger Boden) |
| Ph-Wert des Bodens | Kalkreiche Boden |
| Verhärtung | Verträgt keine Bepflasterung |
Producten
Ben je op zoek naar een specifieke vorm of toepassing van Elaeagnus pungens? Hier vind je alle beschikbare producten, overzichtelijk gegroepeerd op groeivorm. Elke tegel brengt je direct naar de juiste productpagina voor meer informatie en beschikbaarheid.
Blogs & videos
Wil je meer weten over het gebruik, de verzorging of de bijzonderheden van deze plantensoort? In dit onderdeel vind je blogs en video’s waarin we dieper ingaan op eigenschappen, snoeitips, ziektes & plagen, en inspirerende toepassingen in de praktijk. Ideaal voor wie zich wil verdiepen of advies zoekt vóór aankoop of aanplant.
Plantzorg & advies
Of je nu net een plant hebt gekocht of al jaren in de tuin staat te werken – goede zorg maakt het verschil. Hier vind je praktische tips, instructies en antwoorden op veelgestelde vragen om jouw planten gezond en sterk te houden.
Gerelateerde variëteiten
Ben je op zoek naar een specifieke vorm of toepassing van Elaeagnus pungens? Hier vind je alle beschikbare producten, overzichtelijk gegroepeerd op groeivorm. Elke tegel brengt je direct naar de juiste productpagina voor meer informatie en beschikbaarheid.

