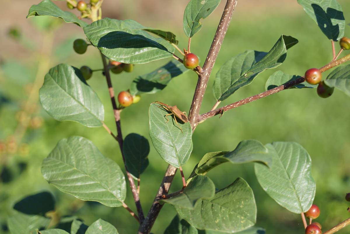
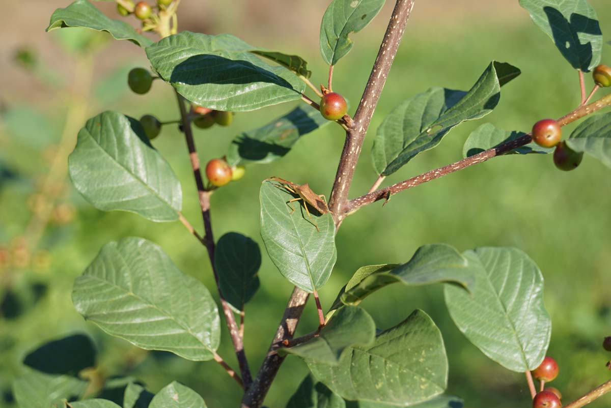
Ook bekend als: Sporkehout; Vuilboom
Deze plant is ook verkrijgbaar als:
Plantenkenmerken
Herkomst
| Botanische benaming | Frangula alnus solitair |
|---|---|
| Nederlandse benaming(en) | Sporkehout; Vuilboom |
| Gewasgroep | Heesters |
| Familie | Rhamnaceae, Wegedoornfamilie |
| Herkomst | West-Azië; Oost-Europa |
| Extra informatie | Wikipedia |
Vorm / Maat
| Natuurlijke vorm | Opgaand, Rondvormig |
|---|---|
| Volwassen hoogte | 3 m-5 m m |
| Volwassen breedte | 2-4 m |
Plantkenmerken
| Bladkleur | Groen |
|---|---|
| Wintergroen | Bladverliezend |
| Herfstverkleuring | Geel |
| Bloemkleur | Wit |
| Groeikracht | Gemiddelde groeisnelheid |
| Bloeiperiode | April, Mei, Juni, Juli |
| Vruchtkleur | Rood, Zwart |
| Biodiversiteit | Drachtplant voor bijen en/of hommels, Schuil- en nestplaats, Voedselplant voor vogels, Waardplant voor insecten |
Standplaats
|
Winterhardheid
Meer over >winterhardheid
|
Zeer uitstekend (zone 3) |
|---|---|
| Lichtbehoefte | Zonnig, Halfschaduw |
| Grondsoort | Licht (zandig), Medium (lemig) |
Verharding
|
Verdraagt geen verharding |



